Ich dachte ja ich könnte das Rätsel mit Hilfe von google alleine lösen, aber seit einer Stunde suche ich und habe immer noch keine Anhaltspunkte, da ich nicht einmal weiß wonach ich suche.
Aber erstmal von vorne
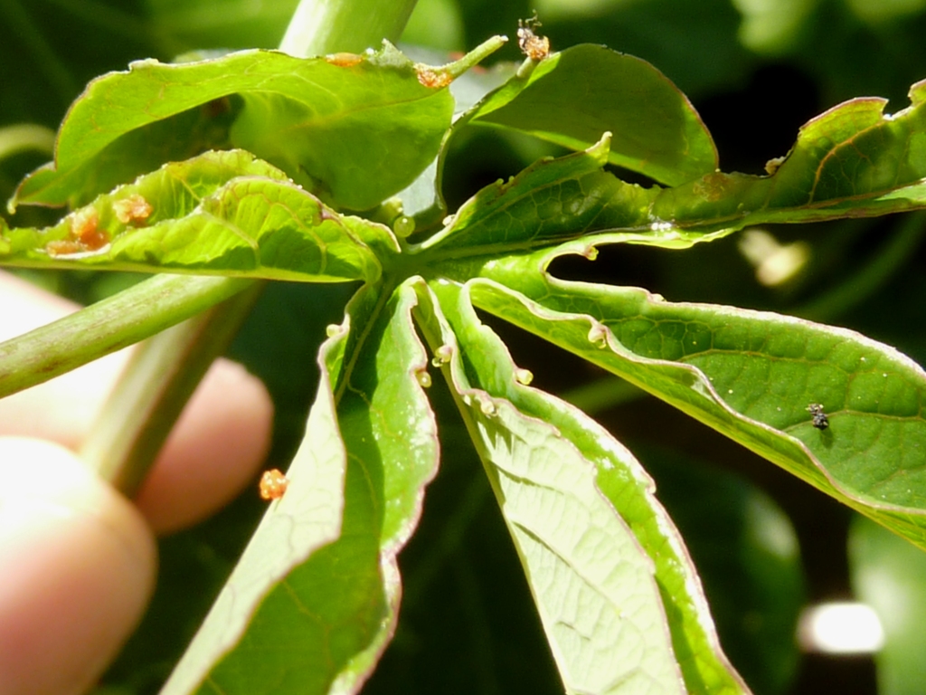
Ich habe draußen eine Passionsblume stehen, die auf den Blättern Fraßspuren hat. An denselben Trieben finde ich viele knallrote (leuchten richtig) bis -orange schmierige Punkte, etwa 1 mm im Durchmesser. Ich denke es sind kotspuren, wobei die frischen noch klebrig sind, während die alten fest. Diese roten Punkte sind aber definitiv nix lebendiges, keine Läuse oder so.
Ich habe keine Fotos gemacht, weil ich dachte es wären bestimmt Lilienhähnchenüberbleibsel, die die verwandtschaftliche Distanz zwischen Passiflora und Lilium übersehen haben, aber lt. google sind die Kotspuren von Lilienhähnchen immer grünbraun.
Daher nun die Frage an euch: Könnt ihr das Rätsel anhand dieser Informationen ohne Foto lösen, oder soll ich morgen doch noch ein paar Fotos machen?
Aber erstmal von vorne
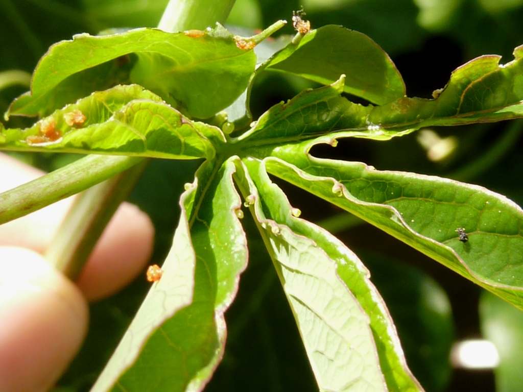
Ich habe draußen eine Passionsblume stehen, die auf den Blättern Fraßspuren hat. An denselben Trieben finde ich viele knallrote (leuchten richtig) bis -orange schmierige Punkte, etwa 1 mm im Durchmesser. Ich denke es sind kotspuren, wobei die frischen noch klebrig sind, während die alten fest. Diese roten Punkte sind aber definitiv nix lebendiges, keine Läuse oder so.
Ich habe keine Fotos gemacht, weil ich dachte es wären bestimmt Lilienhähnchenüberbleibsel, die die verwandtschaftliche Distanz zwischen Passiflora und Lilium übersehen haben, aber lt. google sind die Kotspuren von Lilienhähnchen immer grünbraun.
Daher nun die Frage an euch: Könnt ihr das Rätsel anhand dieser Informationen ohne Foto lösen, oder soll ich morgen doch noch ein paar Fotos machen?