Mein Ficus benjamina wird belästigt!

 
Avatar
Beiträge: 3
Dabei seit: 05 / 2010

Melwin

Hallo zusammen,

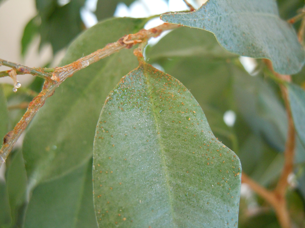
mein bereits 20 Jahre alter Ficus hat seit kurzen Ausschlag, hatte er noch nie und ich bin mir nicht sicher was das ist. Von der Konsistenz sind die Dinger am Stamm weich und feucht, auf den Blättern eher kristallin.

Bis jetzt sind nur einige Zweige befallen, sieht im Gesamten noch sehr fit aus.

Hat jemand eine Ahnung was das ist und wie ich meinem Ficus helfen kann?

Auf den Bildern erkennt man es wohl am Besten.

Vielen Dank schonmal.

Gruß

Melwin
ficus2.jpg
ficus2.jpg (523.43 KB)
ficus2.jpg
ficus1.jpg
ficus1.jpg (369.75 KB)
ficus1.jpg
Avatar
Herkunft: Thüringen 180 m ü.NN…
Beiträge: 24389
Dabei seit: 05 / 2006
Blüten: 51295

gudrun

 [M]
Avatar
Herkunft: Leipzig
Beiträge: 939
Dabei seit: 05 / 2008

Sunnii

Hallo,

für mich sieht das aus wie Schildläuse. Du solltest die mit einer Mischung aus Wasser und Schmierseife abwischen. Außerdem kann ich dir Lizetanstäbchen empfehlen. Die brauchen aber eine Weile bis die richtig wirken. Die Stäbchen werden in die Erde gesteckt und die Pflanze nimmt den Stoff über die Wurzeln auf. Wenn die Schildläuse dann an den Blättern und Ästen saugen, werden die vergiftet, trocknen aus und fallen ab. Allerdings wäre es gut, wenn du die trotzdem immer mal wieder abwischst. Dein Ficus scheint ja schon sehr stark befallen zu sein.

Gruß Sunnii
Avatar
Beiträge: 3
Dabei seit: 05 / 2010

Melwin

Unter dem Baum klebt es tatsächlich ganz schön,...

Das mit dem abwischen ist durchaus eine Herausforderung,... mein Ficus ist über 2 Meter groß. Werde das mit Stäbchen auch gleich mal ausprobieren.

Gut, dann weiß ich Bescheid - vielen Dank für die schnelle Hilfe!
Avatar
Herkunft: Schleswig Holstein
Beiträge: 3431
Dabei seit: 05 / 2007

Rinny

Naja, ein Schmunzeln kann ich mir nicht verkneifen bei der Vorstellung wie du den großen benjamin abwischst.

Lizetanstäbchen gibt es im Baumarkt (in der Gartenabteilung danach fragen), die Dosierung steht auf der Verpackung. Viel Erfolg!
Avatar
Herkunft: Leipzig
Beiträge: 939
Dabei seit: 05 / 2008

Sunnii

Hallo,

das Lizetan gibt es glaub auch als Spray. Habe ich aber noch nicht probiert und schätze dass man das auch mehrmals anwenden muss, damit das hilft. Bei einem Baum mit zwei Meter Größe braucht man da aber sicherlich ziemlich viel.

Gruß Sunnii
Avatar
Beiträge: 3
Dabei seit: 05 / 2010

Melwin

Hab jetzt mal ein kleinen Ast abgeschnitten und lauf morgen mal zu einem "Gartenladen". Ich berichte euch was die sagen bzw. wie viel Eimer Lizetan ich drüber schütten musste.

Hab grad 1 1/2 Stunden Spüli-Session hinter mir, aber das ist eine never ending story,... ich glaub ich muss grössere Geschütze auffahren.

....
Avatar
Beiträge: 6461
Dabei seit: 07 / 2008
Blüten: 30203

Scrooge

Bei so einem starken Befall würde ich aber nicht warten wollen, bis die Stäbchen endlich wirken.
Ich würde dem Baum schon durch Handarbeit ein wenig Luft verschaffen.

Hast Du eigentlich die Möglichkeit, ihn draußen in den Halbschatten zu stellen? So zwei, drei Tage Sommerregen bremsen die Viecher in ihrer Ausbreitungsgeschwindigkeit erstmal aus.


Übrigens hat man mir in einer Gärtnerei mal gesagt: wenn die Blätter der Pflanze so stark verklebt sind, daß die Pflanze darunter leidet, muß man sie ohnehin mit Seifenwasser abwischen, denn selbst wenn die Schildläuse an dem Gift sterben, der Honigtau bleibt (zumindest in der Wohnung).
Avatar
Herkunft: Leipzig
Beiträge: 939
Dabei seit: 05 / 2008

Sunnii

Ich hatte diese Odyssee mit meinen Citruspflanzen und die sind schön eng verzweigt so dass man ni wirklich hinkommt. Hab die zwar auch regelmäßig abgewischt .. dauert stunden. Wenns aber schnell gehen sollte, hab ich die mit seifenlauge vollständig besprüht, nen moment gewartet und dann mit der duschbrause abgespült. Das hilft zumindest etwas den honigtau runterzubekommen. Gegen die Schildis leider nicht wirklich. Aber bis das Lizetan aus den Stäbchen richtig wirkt sind halt paar Wochen vergangen.

Gruß Sunni
Avatar
Herkunft: Braunschweig
Beiträge: 96
Dabei seit: 05 / 2010

Bonsaidoktor

Hallo Melwin,

ich würde dir auch raten, so schnell wie möglich mit einer Behandlung zu beginnen. Also nicht warten, bis der Wirkstoff von den Stäbchen freigesetzt ist. Nimm etwas zum sprühen! Da gibt es eine riesen Auswahl, aber am besten du gehst zum Gartencenter (Baumarkt etc.) die haben alles da. Empfehlen kann ich "Compo Axoris Insektenfrei", das hatte ich bei meinem Ficus auch benutzt, der völlig von Spinnenmilben befallen war und fast daran gestorben wäre.

Zusätzlich aber den Baum so gut es geht abwischen und mit Seifenlauge besprühen (am besten vor der Sprühbehandlung).

Und abschliessend kann ich dir sagen, dass der Baum trotz dem "sehr schlimm" aussehenden Befall sehr gute Überlebens-Chancen hat. Einen 20 Jahre alten Ficus haut das nicht so schnell aus den Latschen, wenn er gesund und vital ist.

Ich drücke dir meinen grünen Daumen

Ähnliche Themen

Gewählte Zitate für Mehrfachzitierung:   0

Registrierte in diesem Topic

Aktuell kein registrierter in diesem Bereich

Die Statistik zeigt, wer in den letzten 5 Minuten online war. Erneuerung alle 90 Sekunden.