Hallo zusammen,
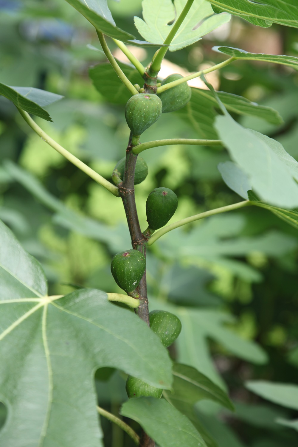
ich hab bei Penny für ein paar Cent eine übrig gebliebene kleine Feige mitgenommen. Jetzt ist sie so riesig geworden, ein Blatt hat 35x30 cm! Weiß von Euch jemand was das für eine Sorte ist und ob die winterhart ist? Ich würde sie gerne draußen überwintern.
Vielen Dank für Eure Hilfe im voraus.
Viele Grüße
[
]
[
]
ich hab bei Penny für ein paar Cent eine übrig gebliebene kleine Feige mitgenommen. Jetzt ist sie so riesig geworden, ein Blatt hat 35x30 cm! Weiß von Euch jemand was das für eine Sorte ist und ob die winterhart ist? Ich würde sie gerne draußen überwintern.
Vielen Dank für Eure Hilfe im voraus.
Viele Grüße
[
][
]
]
]