Kennt jemand diese Feigensorte?essbare Feigen (Ficus carica)

 
Avatar
Herkunft: Göppingen
Beiträge: 11
Dabei seit: 06 / 2014

Amazing71

Hallo zusammen,

ich hab bei Penny für ein paar Cent eine übrig gebliebene kleine Feige mitgenommen. Jetzt ist sie so riesig geworden, ein Blatt hat 35x30 cm! Weiß von Euch jemand was das für eine Sorte ist und ob die winterhart ist? Ich würde sie gerne draußen überwintern.

Vielen Dank für Eure Hilfe im voraus.

Viele Grüße

[]
[]
Avatar
Herkunft: Peine
Beiträge: 7402
Dabei seit: 05 / 2011
Blüten: 881

Beatty

Hallo Amazing71,
normalerweise bekommst du bei den Discountern essbare Feigen (Ficus carica). Bei denen können durchaus Blätter in dieser Größe vorkommen und ich würde daher davon ausgehen, dass es ihr bei dir sehr gut geht und sie daher so wüchsig ist.
Avatar
Herkunft: Würzburg, USDA-Zone …
Alter: 50
Beiträge: 21820
Dabei seit: 01 / 2007
Blüten: 65154

Mara23

 [M]
In welcher Gegend wohnst du denn? Weißt du zufällig deine USDA-Zone bzw. wie kalt es durchschnittlich im Winter wird?
Ich mache dieses Jahr den ersten Versuch meine Ficus carica ausgepflanzt draußen zu überwintern, natürlich mit gutem Winterschutz (Blätter, Zweige etc.). Aber ich wohne in einer Weinbaugegend, da ist es etwas anderes mit den Temperaturen.
Im Kübel würde ich sie nicht draußen überwintern. Lieber kühl und frostfrei gut eingepackt an einem dunklen Standort, da die im Herbst ihre Blätter abwerfen.
Avatar
Herkunft: im sonnigen Baden
Beiträge: 1123
Dabei seit: 03 / 2013
Blüten: 355

Sommerman

Für ausgepflanzte Feigen ist der Standort sehr entscheidend, ob der Winter problemlos überstanden wird oder nicht.
Südwest, oder Westseite in der Nähe einer Hauswand im Weinbauklima, ohne jeden Schutz, absolut ideal. Unsere über 25 Jahre, alle Winter überstandene Feige ist der beste Beweis.

@Mara wenn frostfrei überwintert wird braucht man für den Kübel KEINEN Schutz und dunkel oder hell ist egal.
Avatar
Herkunft: Sachsen
Beiträge: 133
Dabei seit: 10 / 2010

PeWn

Meine Feige steht schon seit einigen Jahren in Freiheit. Wir haben nicht unbedingt Weinanbauklima. Sachsen hat zwar auch Weinanbau, aber nur in geschützten Gegenden wie z.B. Dresden. Ich gebe meiner Feige aber auch in jedem Jahr einen guten Winterschutz. Habe es schon mal im Forum dokomentiert. Sie friert zwar immer etwas zurück, an Ästen, die sich nicht einpcken lassen, aber treibt im Frühjahr immer wieder ganz toll aus. Sie setzt auch Früchte an, die aber in unseren Sommer keine Zeit haben auszureifen.
Gruß Petra
DSC00827kl.jpg
DSC00827kl.jpg (485.83 KB)
DSC00827kl.jpg
Avatar
Herkunft: Würzburg, USDA-Zone …
Alter: 50
Beiträge: 21820
Dabei seit: 01 / 2007
Blüten: 65154

Mara23

 [M]
@Sommerman: Du wohnst ja auch in Baden, da ist es nicht ganz so kalt... (genauso wie in Unterfranken).
Hat deine auch Feigen, die ausreifen? Und die friert gar nicht zurück?
@Petra: Die sieht toll aus! Das ist dann vielleicht doch der Unterschied, bei mir reifen die Feigen zumeist aus.
Ich hatte meine, bevor ich meinen Garten hatte, immer kühl (zehn Grad) und dunkel stehen, ohne Blätter. Das hat wunderbar funktioniert. Meine Großtante (die aber nicht in einer Weinbaugegend wohnt) hatte ihre immer in der Null oder knapp unter Null Grad kühlen Garage. Einmal ohne Schutz, also nicht eingepackt oder auf Styropor gestellt, da wäre sie fast erfroren. Das nächste Jahr dann das volle Programm mit Einpacken, das hat sie viel besser überstanden.
Avatar
Herkunft: im sonnigen Baden
Beiträge: 1123
Dabei seit: 03 / 2013
Blüten: 355

Sommerman

Wir haben 2 Feigenbäume. Die Mutter ca. 25 Jahre (Mitbringsel aus Italien) an der Hauswand und eine Tochter ca. 12 Jahre alt, halbschattig im Freien.
Die Mama hatte noch nie Winterprobleme, die Tochter schon, öfter zurück gefroren, aber immer wieder gut erholt.
Es ist eine Sorte mit zwei Ernten Juli/August und Oktober. Juli/August reift immer gut aus, Oktober nur ab und zu. Im Supersommer 2003 hatten wir weit über 2.000 reife Früchte und ca. 100 Gläser Feigenmarmelade.

Wenn der Herbst schön warm wird, gibt die 12 jährige noch eine schöne Ernte.
Bild von heute.

[attachment=0]IMG_0651.JPG[/attachment]
IMG_0651.JPG
IMG_0651.JPG (286.58 KB)
IMG_0651.JPG
Avatar
Herkunft: Göppingen
Beiträge: 11
Dabei seit: 06 / 2014

Amazing71

Hallo,

erstmal vielen Dank für Eure Antworten und die tollen Bilder Eurer Feigen!

Ich wohne in der Zone 7a bei Göppingen. Allerdings hab ich keine Hauswand zum Auspflanzen. Sie hat grad einen 50x50 Kübel
vllt. gefällt es ihr da auch noch länger. Einen geschützten Platz an einer Hecke hätte ich, aber da bekommt sie zuwenig Sonne ab.
Grad steht sie vollsonnig und geschützt das scheint ihr wirklich sehr gefallen zu haben. Also werde ich sie wohl in der Garage überwintern und schauen was nächstes Jahr passiert größtechnisch

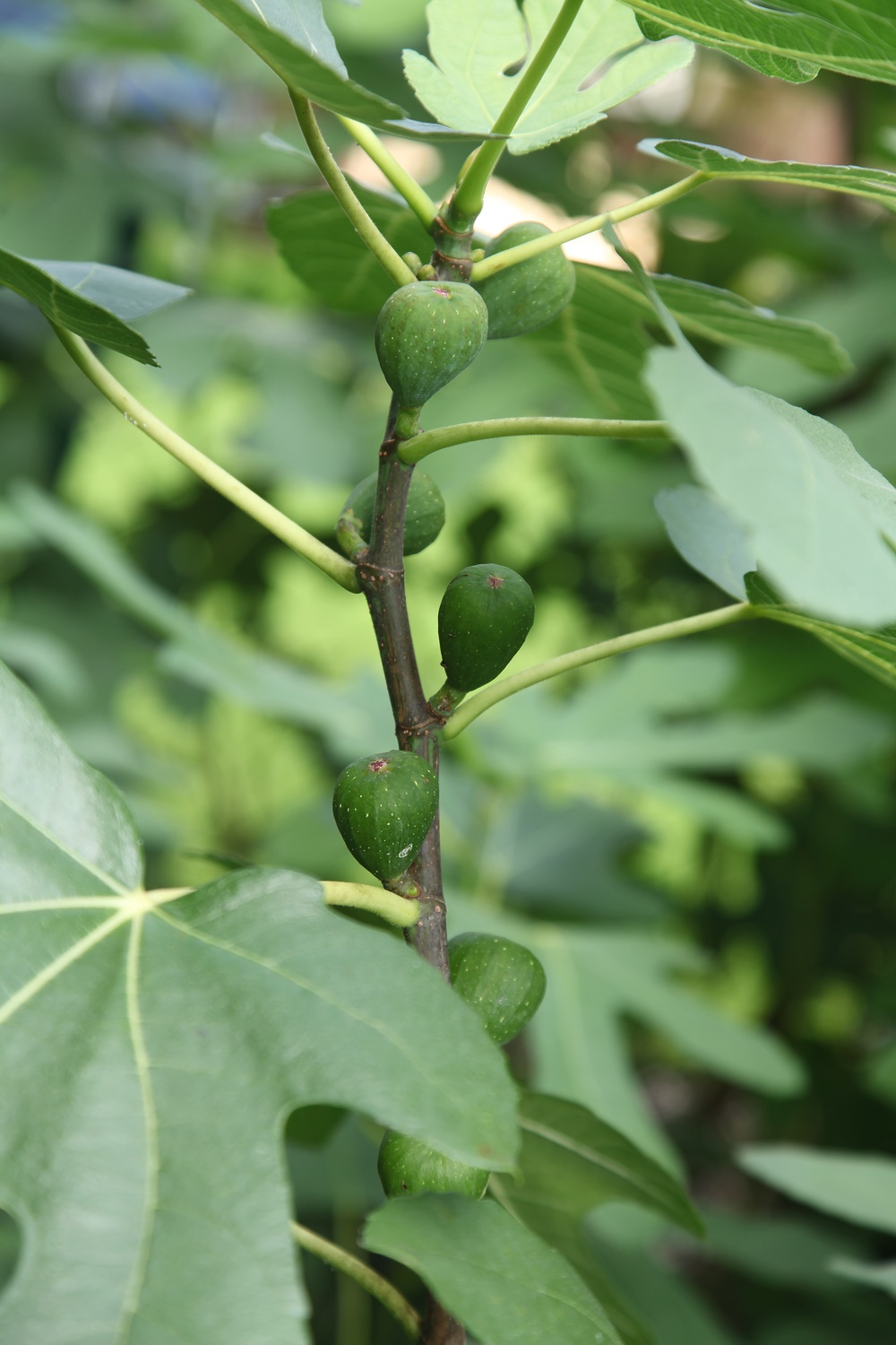
Ich hab noch ein Feigenbäumchen, dass hat schon Früchte, aber ich glaube nicht, dass die noch so reif werden um Marmelade machen zu können Hier 2 Bilder von heute:

[]
[]

Ähnliche Themen

Gewählte Zitate für Mehrfachzitierung:   0

Registrierte in diesem Topic

Aktuell kein registrierter in diesem Bereich

Die Statistik zeigt, wer in den letzten 5 Minuten online war. Erneuerung alle 90 Sekunden.