Name: Grossblättrige Damiana - Turnera ulmifolia l. [Fam.: Turneraceae/Safranmalvengewächse]
Samen: Samen meiner letztjährigen Mutterpflanze, keine Vorbehandlung
Keimart: Lichtkeimer, locker aufs Substrat streuen
Anzahl: ca 30-40 (?) Stück
Aussaatdatum: 15.02.2008
----------------------------------------
Keimdauer: 5-7 Tage (einige noch nicht gekeimt)
Dauer bis zur Wurzelbildung:
Dauer bis zum Austreiben:
Blühdatum:
----------------------------------------
Alter beim erstem Blütenansatz: Blüht im ersten Jahr (Mutterpflanze)
Geschlecht der Blüten: zwittrige Blüten (hermaphrodit)
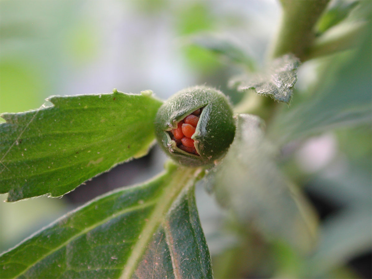
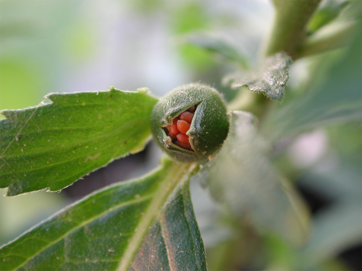
Fruchtansatz und Entwicklung: Früchte ausgereift und aufgeplatzt (Mutterpflanze)
Bestäubung: Insekten, von Hand nachgeholfen, da die Blüten nur einen Tag geöffnet sind
----------------------------------------
Wie wurde die Pflanze vermehrt: Mutterpflanze von Rühlemanns
Substrat: Perlit
Standort: Minigewächshaus mit Abdeckung an hellem Ort (Lichtkeimer)
Temperatur: Zimmertemperatur (ca 22°C)
----------------------------------------
Leider ist mir die Mutterpflanze eingegangen, die Samen davon werden aber für genügend Nachwuchs sorgen. Schon im letzten Sommer haben einige Samen bereitwillig und problemlos gekeimt, nachdem sie aus der reifen Samenkapsel auf die Erde gefallen sind.
Samen: Samen meiner letztjährigen Mutterpflanze, keine Vorbehandlung
Keimart: Lichtkeimer, locker aufs Substrat streuen
Anzahl: ca 30-40 (?) Stück
Aussaatdatum: 15.02.2008
----------------------------------------
Keimdauer: 5-7 Tage (einige noch nicht gekeimt)
Dauer bis zur Wurzelbildung:
Dauer bis zum Austreiben:
Blühdatum:
----------------------------------------
Alter beim erstem Blütenansatz: Blüht im ersten Jahr (Mutterpflanze)
Geschlecht der Blüten: zwittrige Blüten (hermaphrodit)
Fruchtansatz und Entwicklung: Früchte ausgereift und aufgeplatzt (Mutterpflanze)
Bestäubung: Insekten, von Hand nachgeholfen, da die Blüten nur einen Tag geöffnet sind
----------------------------------------
Wie wurde die Pflanze vermehrt: Mutterpflanze von Rühlemanns
Substrat: Perlit
Standort: Minigewächshaus mit Abdeckung an hellem Ort (Lichtkeimer)
Temperatur: Zimmertemperatur (ca 22°C)
----------------------------------------
Leider ist mir die Mutterpflanze eingegangen, die Samen davon werden aber für genügend Nachwuchs sorgen. Schon im letzten Sommer haben einige Samen bereitwillig und problemlos gekeimt, nachdem sie aus der reifen Samenkapsel auf die Erde gefallen sind.
mutterpflanze.jpg (297.36 KB)
mutterpflanze.jpg
mutterpflanze.jpg
samenkapsel2.jpg (132.01 KB)
samenkapsel2.jpg
samenkapsel2.jpg
Turnera-ulmifolia-schale.jpg (209.59 KB)
Turnera-ulmifolia-schale.jpg
Turnera-ulmifolia-schale.jpg
Turnera-ulmifolia.jpg (165.76 KB)
Turnera-ulmifolia.jpg
Turnera-ulmifolia.jpg
Samen.jpg (326.17 KB)
Samen.jpg
Samen.jpg