Komische Stellen an der Säulenbirne

 
Avatar
Herkunft: Bad Camberg
Beiträge: 17
Dabei seit: 09 / 2012

McLeodsDaughters

Hallo,

ich habe mich eben angemeldet, weil wir Probleme mit unseren Säulenbirnen haben.

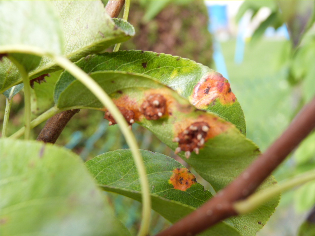
Meine Eltern haben diese, 4 Säulenäpfel und 1 Kirsche letztes Jahr im Frühjahr gesetzt. Die Äpfel haben dieses Jahr schon getragen, die Kirsch wird eig. schon zu groß und die Birnen haben komische Stellen an den Blättern.

Meine Eltern wollen die Birnen nun wieder ausmachen. Zumindest wenn es Schädlinge sind.

Hier mal Bilder:
bilder 002.JPG
bilder 002.JPG (150.38 KB)
bilder 002.JPG
bilder 001.JPG
bilder 001.JPG (155.16 KB)
bilder 001.JPG
Avatar
Beiträge: 6637
Dabei seit: 12 / 2011
Blüten: 10

resa30

Avatar
Herkunft: Bad Camberg
Beiträge: 17
Dabei seit: 09 / 2012

McLeodsDaughters

Danke!

Meine Mutter meinte, dass wir keinen Wacholder in der Nähe haben. Im eigenen Garten nicht, die direkten Nachbarn auch nicht.

Was hilft denn genau? Könnte man komplett unten Abschneiden und schauen, wie es nächstes Jahr wird oder nur die Blätter abmachen?
Oder ganz ausmachen?

In dem einen Link steht verbrennen, das wird nicht funktionieren...

Können die Äpfel und die Kirsche das auch bekommen?
Avatar
Herkunft: HBN
Beiträge: 12142
Dabei seit: 06 / 2007
Blüten: 21073

Lapismuc

@McLeodsDaughters
Zitat
keinen Wacholder in der Nähe haben.
bei mir steht der Wacholder in 1 Km Entfernung auf nem Friedhof, das ist für die Birnengitterrostsporen kein Problem.

vlG Lapismuc
Avatar
Beiträge: 6637
Dabei seit: 12 / 2011
Blüten: 10

resa30

Noch ein interessanter Link: http://www.lwf.bayern.de/veroe…rostes.pdf

Auf der letzten Seite steht, dass von einigen Arten auch Malus (Apfel) befallen werden kann. Kirsche scheint eher aussen vor zu sein?

Das mit der Übertragung über grosse Entfernungen ist ebenfalls auch in dem Link beschrieben.

Zwecks Bekämpfung guck auch mal noch hier: http://www.mein-schoener-garte…pfen-94080
Pflanzenstärkung scheint genauso wichtig zu sein, wie die richtige Sortenwahl und frühzeitige Bekämpfung mit einem Fungizid.
Avatar
Beiträge: 466
Dabei seit: 01 / 2010

derFloris

sehr schöne Links von Resa

Nur in dem Wikipedia-Artikel steht einiger Unsinn!
Avatar
Herkunft: thüringen SHK
Beiträge: 347
Dabei seit: 09 / 2012

erny2006

habe dieses problem mit birnengitterrost leider auch und kenne in meiner umgebung auch keinen baum mehr der keinen rost hat. spritze kurz vorm laubaustrieb im frühjahr mit netzschwefel und mindere damit den befall etwas obwol mir schon mehrere gärtner sagten das es der pflanze nicht übermäßig schadet wenn sie vom rost befallen ist. also umsägen muss nicht sein.

Ähnliche Themen

Gewählte Zitate für Mehrfachzitierung:   0

Registrierte in diesem Topic

Aktuell kein registrierter in diesem Bereich

Die Statistik zeigt, wer in den letzten 5 Minuten online war. Erneuerung alle 90 Sekunden.