Wundwachs und Weißanstrich

 
  • 1
  • 2
  • Seite 1 von 2
Avatar
Beiträge: 133
Dabei seit: 09 / 2009

Diamond72

Hallo Liebe Freunde,

ich wollt mal von euch wissen, woher ich am günstigsten Wundwachs und Weißanstrich bekomme?

Ich brauch den Weißanstrich sehr drigend, denn es kabelln immer Insekten auf meine Obstbäume und essen die Blätter auf...

Gruß
Avatar
Herkunft: Bad Schwartau USDA 7…
Beiträge: 43445
Dabei seit: 06 / 2006
Blüten: 12592

Rose23611

 [M]
in einem fachhandel

gärtnerei, raiffeisengenossenschaft,baumarkt mit gartenabteilung

ich denke mal, leimringewären da aber besser, da bleiben die schädlinge dran kleben

weissanstrich hilft da nicht

http://www.hausgarten.net/obst…trich.html

und wozu brauchst du wundwachs
Avatar
Avatar
Mel
Pflanzenkönig*in
Herkunft: Duisburg
Beiträge: 57778
Dabei seit: 12 / 2005

Mel

der der Weißanstrich ist aber eigentlich gegen Frostrisse...wenn mich nicht alles täuscht. Was sind das denn für Tiere? Ameisen?

Manchmal ist es besser erst rauszufinden wogegen man kämpft
Avatar
Beiträge: 133
Dabei seit: 09 / 2009

Diamond72

ja ameisen und andere insekten
Avatar
Avatar
Mel
Pflanzenkönig*in
Herkunft: Duisburg
Beiträge: 57778
Dabei seit: 12 / 2005

Mel

Blattläuse? Die treten nämlich immer zusammen mit den Ameisen auf, weil die von denen gemolken werden
Avatar
Beiträge: 133
Dabei seit: 09 / 2009

Diamond72

ich muss es nochmal beobachten. Blattläuse sinds glaube ich nicht
Avatar
Avatar
Mel
Pflanzenkönig*in
Herkunft: Duisburg
Beiträge: 57778
Dabei seit: 12 / 2005

Mel

Raten bringt nichts! Kamera zücken und knipsen, dann wissen wir mehr
Avatar
Beiträge: 133
Dabei seit: 09 / 2009

Diamond72

Es sind definitiv Ameisen. Habe es nochmal geprüft.
Avatar
Beiträge: 133
Dabei seit: 09 / 2009

Diamond72

kann ich mir gegen die ameisen kann mittel zusammenmischen und meine pflanzen damit bespritzen?
Avatar
Herkunft: Bad Schwartau USDA 7…
Beiträge: 43445
Dabei seit: 06 / 2006
Blüten: 12592

Rose23611

 [M]
Avatar
Beiträge: 133
Dabei seit: 09 / 2009

Diamond72

Avatar
Herkunft: Bad Schwartau USDA 7…
Beiträge: 43445
Dabei seit: 06 / 2006
Blüten: 12592

Rose23611

 [M]
wenn du den blattfrass meinst, da sind weder die ameisen noch die blattläuse die übeltäter

da isst was anderes schaumal nach raupen
Avatar
Beiträge: 133
Dabei seit: 09 / 2009

Diamond72

raupen sind da keine !
Avatar
Herkunft: Bad Schwartau USDA 7…
Beiträge: 43445
Dabei seit: 06 / 2006
Blüten: 12592

Rose23611

 [M]
ich wiederspreche da mal

glaub mir da sind raupen die kannst du nur nicht finden, entweder gut getarnt, oder nur nachts unterwegs, solche frassbilder kommen, nienicht von ameisen und blattläusen, wenn du kannst dreh mal jedes blatt um, vielleicht hast du glück und findest die frassfeinde
Avatar
Beiträge: 133
Dabei seit: 09 / 2009

Diamond72

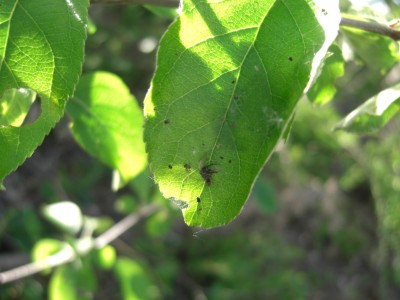
Was sind das für komische Spinnen und diese Mohnartige schwarze pünktchen?
  • 1
  • 2
  • Seite 1 von 2

Ähnliche Themen

Gewählte Zitate für Mehrfachzitierung:   0

Registrierte in diesem Topic

Aktuell kein registrierter in diesem Bereich

Die Statistik zeigt, wer in den letzten 5 Minuten online war. Erneuerung alle 90 Sekunden.