Deutscher Name:
Großblättrige Damiana
Lateinischer Name:
Turnera ulmifolia
Familie:
Safranmalvengewächse [Turneraceae]
Namen und Synonyme:
großblättrige Damiana (Quelle: Zander)
ulmenblättrige Damiana
ramgoat dashalong
sage-rose
yellow-alder (engl.)
West Indian-holly (Quelle: Dict Gard )
bot. Synonyme:
Turnera angustifolia Mill
Turnera ulmifolia var. angustifolia (Mill.) Willd.
Herkunft:
Mexico, Westindische Inseln
Verbreitung:
In tropischen Ländern
Habitus:
Strauchartig, aufrecht wachsend
Höhe ca. 60-100cm.
Blätter:
kräftig grüne Blätter, wechselständig, lanzettlich gesägt, ca. 10cm lang
Blüte:
Fünfzählig, radiärsymmetrisch, achselständig
Die Blüten sind goldgelb mit einem Durchmesser von ca. 3-6 cm. Sie blühen nur einen Tag, öffnen sich in den Morgenstunden und schließen sich gegen Abend wieder.
Blütezeit:
Juni - September
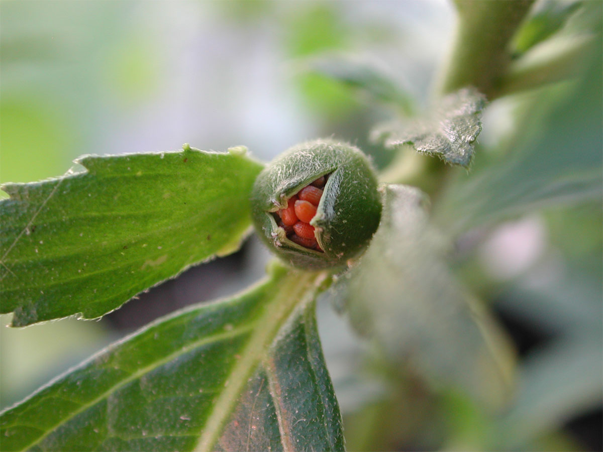
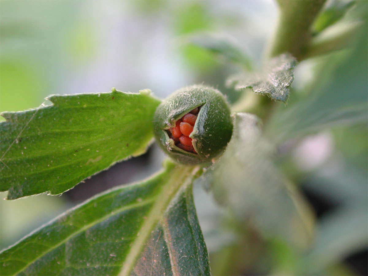
Frucht:
Kapselfrüchte
Die Samenkapsel an der Pflanze trocken lassen und warten bis sie aufbricht um die Samen zu entnehmen.
Verwendung:
Kübelpflanze, Heilkraut
Vermehrung:
Durch Samen (Lichtkeimer) im Frühjahr, Stecklinge im Sommer oder Teilung im Herbst
Keimzeiten: forum/ftopic22106.html
Substrat:
lockere, humose Einheitserde mit guter Durchlässigkeit, Staunässe vermeiden
Standort:
Sonnig bis halbschattig
Sie verträgt auch höhere Temperaturen, braucht dann aber auch eine gewisse Luftfeuchtigkeit.
Im Sommer fühlt sie sich im Freien sehr wohl.
Gießen:
Mäßig gießen
Die Pflanze darf auf keinen Fall übergossen werden, da sie sonst schnell abstirbt. Nässe verübelt sie einem eher, als ein kurzzeitiges Austrocknen.
Düngen:
In der Wachstumszeit alle zwei Wochen einen 0,2 %igen Volldünger oder einen Langzeitdünger verwenden
Lebenszyklus:
Turnera ulmifolia ist eine mehrjährige Pflanze. Sie blüht jedoch in den ersten zwei Jahren am reichsten, deshalb ist es empfehlenswert für eine rechtzeitige Nachzucht von Jungpflanzen zu sorgen.
Überwinterung:
Die Pflanze ist „halbwinterhart“, verträgt also leichte Fröste (ca. -5°). Besser ist es jedoch, sie an einem hellen Ort bei ca. 10-20° zu überwintern und im Frühjahr bei Bedarf leicht zurückzuschneiden. Die Pflanze dabei mäßig gießen.
Großblättrige Damiana
Lateinischer Name:
Turnera ulmifolia
Familie:
Safranmalvengewächse [Turneraceae]
Namen und Synonyme:
großblättrige Damiana (Quelle: Zander)
ulmenblättrige Damiana
ramgoat dashalong
sage-rose
yellow-alder (engl.)
West Indian-holly (Quelle: Dict Gard )
bot. Synonyme:
Turnera angustifolia Mill
Turnera ulmifolia var. angustifolia (Mill.) Willd.
Herkunft:
Mexico, Westindische Inseln
Verbreitung:
In tropischen Ländern
Habitus:
Strauchartig, aufrecht wachsend
Höhe ca. 60-100cm.
Blätter:
kräftig grüne Blätter, wechselständig, lanzettlich gesägt, ca. 10cm lang
Blüte:
Fünfzählig, radiärsymmetrisch, achselständig
Die Blüten sind goldgelb mit einem Durchmesser von ca. 3-6 cm. Sie blühen nur einen Tag, öffnen sich in den Morgenstunden und schließen sich gegen Abend wieder.
Blütezeit:
Juni - September
Frucht:
Kapselfrüchte
Die Samenkapsel an der Pflanze trocken lassen und warten bis sie aufbricht um die Samen zu entnehmen.
Verwendung:
Kübelpflanze, Heilkraut
Vermehrung:
Durch Samen (Lichtkeimer) im Frühjahr, Stecklinge im Sommer oder Teilung im Herbst
Keimzeiten: forum/ftopic22106.html
Substrat:
lockere, humose Einheitserde mit guter Durchlässigkeit, Staunässe vermeiden
Standort:
Sonnig bis halbschattig
Sie verträgt auch höhere Temperaturen, braucht dann aber auch eine gewisse Luftfeuchtigkeit.
Im Sommer fühlt sie sich im Freien sehr wohl.
Gießen:
Mäßig gießen
Die Pflanze darf auf keinen Fall übergossen werden, da sie sonst schnell abstirbt. Nässe verübelt sie einem eher, als ein kurzzeitiges Austrocknen.
Düngen:
In der Wachstumszeit alle zwei Wochen einen 0,2 %igen Volldünger oder einen Langzeitdünger verwenden
Lebenszyklus:
Turnera ulmifolia ist eine mehrjährige Pflanze. Sie blüht jedoch in den ersten zwei Jahren am reichsten, deshalb ist es empfehlenswert für eine rechtzeitige Nachzucht von Jungpflanzen zu sorgen.
Überwinterung:
Die Pflanze ist „halbwinterhart“, verträgt also leichte Fröste (ca. -5°). Besser ist es jedoch, sie an einem hellen Ort bei ca. 10-20° zu überwintern und im Frühjahr bei Bedarf leicht zurückzuschneiden. Die Pflanze dabei mäßig gießen.
mutterpflanze.jpg (297.36 KB)
mutterpflanze.jpg
mutterpflanze.jpg
bluete2.jpg (112.3 KB)
bluete2.jpg
bluete2.jpg
bluete1.jpg (77.85 KB)
bluete1.jpg
bluete1.jpg
samenkapsel2.jpg (132.01 KB)
samenkapsel2.jpg
samenkapsel2.jpg
Samen.jpg (326.17 KB)
Samen.jpg
Samen.jpg